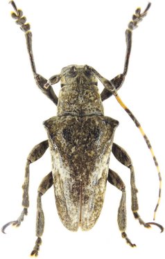
_M_G_ISRNB_Blanchiseuse_Road_Trinidad_Trin_Tobag.jpg)
Specimen Type: holotype Sex: m Institution: IRSNB Royal Belgian Institute of Natural Sciences, Brussels, Belgium Photographer: Larry G. Bezark Collection Location: Blanchiseuse Road, Trinidad, Trinidad & Tobago 45749
|
_Mart_and_Galil_ISRNB_Blanchiseuse_Rd_Trinidad.jpg)
Specimen Type: holotype Sex: m Institution: IRSNB Royal Belgian Institute of Natural Sciences, Brussels, Belgium Collection Location: Blanchiseuse Road, Trinidad, Trinidad & Tobago 34844
|