_Giesbert_and_Chemsak_17km_W_Tuxtla_Gutierrez_Chiapas_Mexico_UCB.jpg)
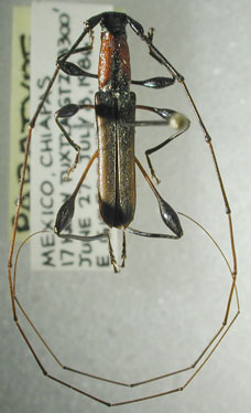
Specimen Type: allotype Institution: UCB Essig Museum of Entomology, Berkeley, California, USA Collection Location: 17km W Tuxtla Gutierrez, Chiapas, Mexico 15927
|
_Giesbert_and_Chemsak_Tuxtlas_Gutierrez_Chiapas_Mexico_Giesbert_Coll_FSCA.jpg)
Specimen Type: paratype Institution: EMG Ed Giesbert Collection (now at FSCA) Photographer: Larry G. Bezark Collection Location: Tuxtlas Gutierrez, Chiapas, Mexico 6370
|