_Aurivillius_NHRS_FTH.jpg)
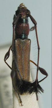
Specimen Type: holotype Institution: NHRS Naturhistoriska Riksmuseet, Stockholm, Sweden Collection Location: Rio de Janeiro, Brazil 15869
|

Institution: UCB Essig Museum of Entomology, Berkeley, California, USA Photographer: Larry G. Bezark Collection Location: Corcovado, Brazil 6162
|