_MNRJ_Barro_do_Bugres_MT_Brazil.jpg)
Institution: MNRJ Museu Nacional Universidade do Rio Janeiro, Brazil Photographer: Larry G. Bezark Collection Location: Barro do Bugres, Mato Grosso, Brazil 33241
|
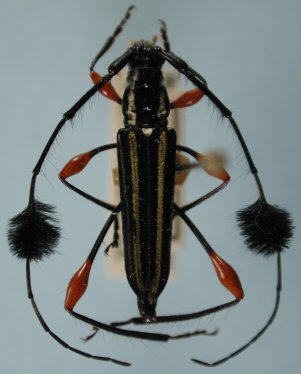
_MNRJ_Ouro_Preta_Rondonia_Brazil.jpg)
Institution: MNRJ Museu Nacional Universidade do Rio Janeiro, Brazil Photographer: Larry G. Bezark Collection Location: Ouro Preto do Oeste, Rondonia, Brazil 33242
|