New Search Family, Subfamily and Tribe List

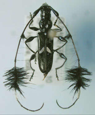
SubFamily Cerambycinae

Tribe Rhopalophorini
Cosmisoma fasciculatum (Olivier, 1800)

Photographer: Jean-Louis Giuglaris
Collection Location: Matoury, French Guiana
28663


Institution: FTH Frank T. Hovore collection (now at California Academy of Sciences)
Photographer: Larry G. Bezark
Collection Location: French Guiana
6138


Photographer: Denis Faure
Collection Location: French Guiana
21801

130425