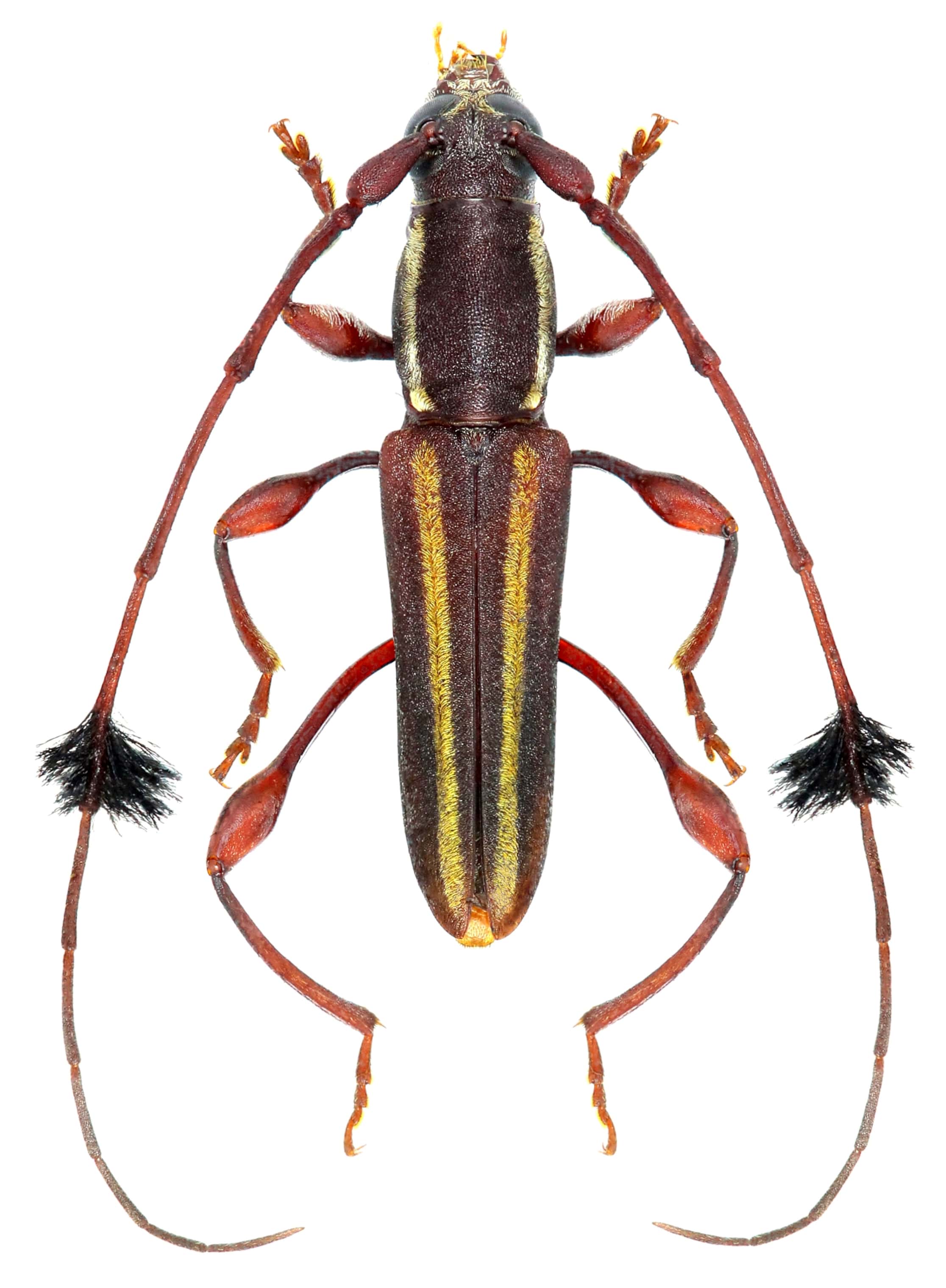
_Zajciw_MNRJ_SWL.jpg)
Specimen Type: holotype Sex: m Institution: MNRJ Museu Nacional Universidade do Rio Janeiro, Brazil Photographer: Steve Lingafelter Collection Location: Satipo, Junin, Peru 6126
|

Photographer: Frédéric Robin Collection Location: Montagne des Chevaux, French Guiana 78146
|