_JW.jpg)
Photographer: Jim Wappes Collection Location: Bolivia 42113
|
_Bolivia_Wappes_Photo.jpg)
Photographer: Jim Wappes Collection Location: Bolivia 6123
|
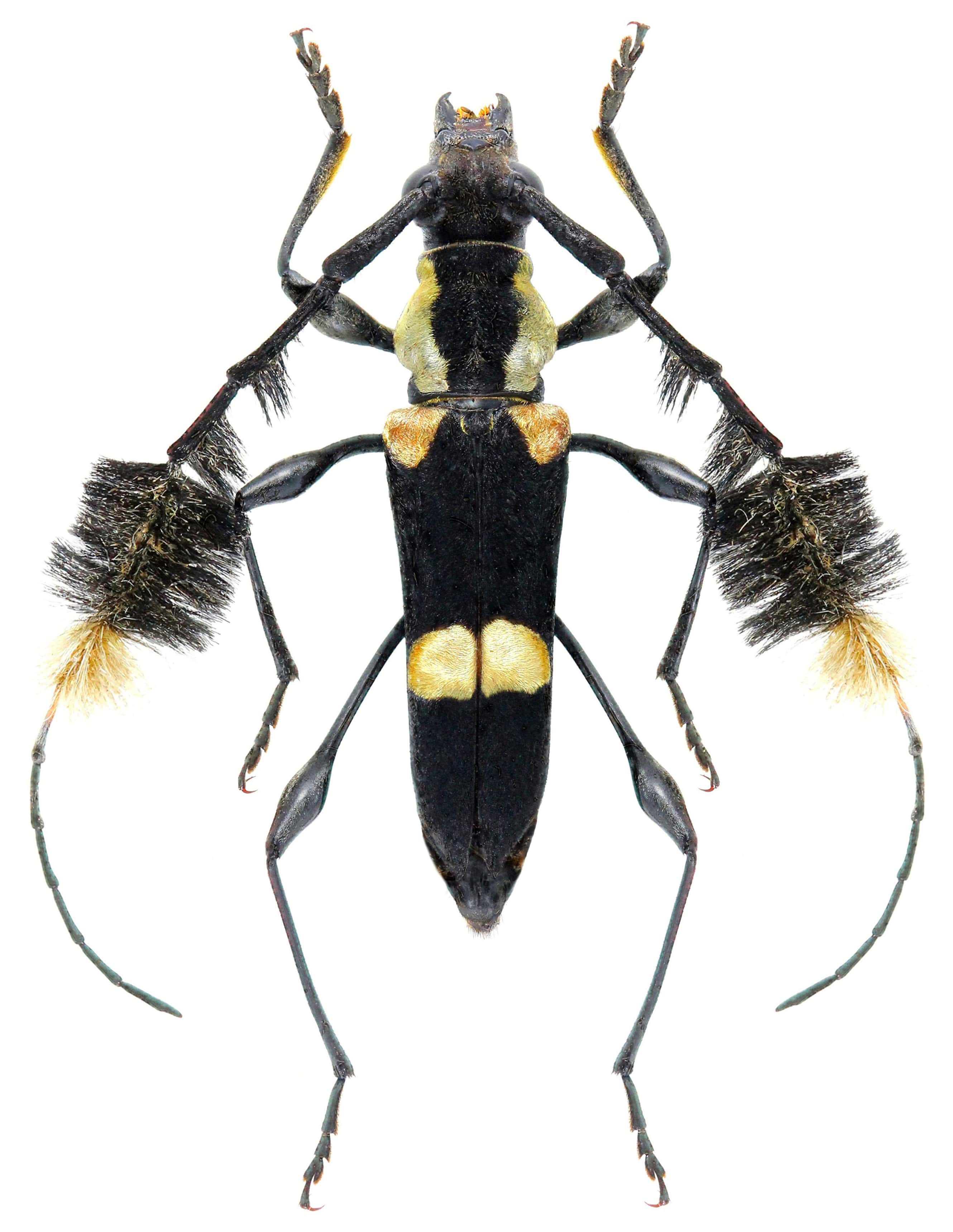
_CAS.jpg)
Institution: CAS California Academy of Sciences, San Francisco, CA, USA Photographer: Larry G. Bezark 6124
|
_LGB.jpg)
Photographer: Larry G. Bezark 6125
|
 Saul, French Guiana Robin.jpg)
Photographer: Frédéric Robin Collection Location: Saul, French Guiana 78145
|
|