New Search Family, Subfamily and Tribe List

SubFamily Cerambycinae

Tribe Rhopalophorini
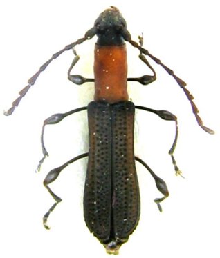
Dihammaphora pusilla Bates 1870

Specimen Type: holotype
Institution: MNHN Museum of Natural History Paris, France
Collection Location: Vila Nova, Para, Brazil
16073


Photographer: Denis Faure
Collection Location: French Guiana
28702


Photographer: Jean-Louis Giuglaris
Collection Location: Kourou, French Guiana
28703

130425