_Chev_BMNH_New_Grenada_Colombia_LGB.jpg)
Specimen Type: holotype Institution: BMNH British Museum Natural History, London, UK Photographer: Larry G. Bezark Collection Location: New Granada, Colombia 46605
|
_Chev_BMNH_New_Grenada_Colombia_LGB.jpg)
Specimen Type: holotype Institution: BMNH British Museum Natural History, London, UK Photographer: Larry G. Bezark Collection Location: New Grenada, Colombia 20245
|

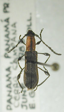
Institution: FSCA Florida State Collection of Arthropods, Gainesville, FL, USA Collection Location: Cerro Campana, Panama Giesbert Coll 20246
|
|