New Search Family, Subfamily and Tribe List

SubFamily Cerambycinae

Tribe Rhopalophorini
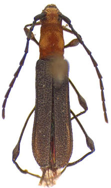
Dihammaphora gracicollis Chevrolat 1859

Specimen Type: holotype
Institution: MNHN Museum of Natural History Paris, France
Collection Location: Province de La Laguna, Bolivia
16065


Sex: f
30020


Photographer: Jim Wappes
Collection Location: Bolivia
42153

130425