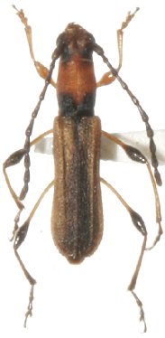
_Bosq_MNRJ_SWL.jpg)
Specimen Type: holotype Institution: MNRJ Museu Nacional Universidade do Rio Janeiro, Brazil Photographer: Steve Lingafelter Collection Location: Colonia Benitez, Chaco, Argentina 6608
|
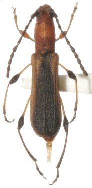
_Bosq_prob_Bolivia_RC.jpg)
Sex: f Photographer: Robin Clarke Determiner: probably this taxa Collection Location: Bolivia 24393
|
_Bosq_prob_Bolivia_RC.jpg)
Sex: m Photographer: Robin Clarke Determiner: probably this taxa Collection Location: Bolivia 24394
|
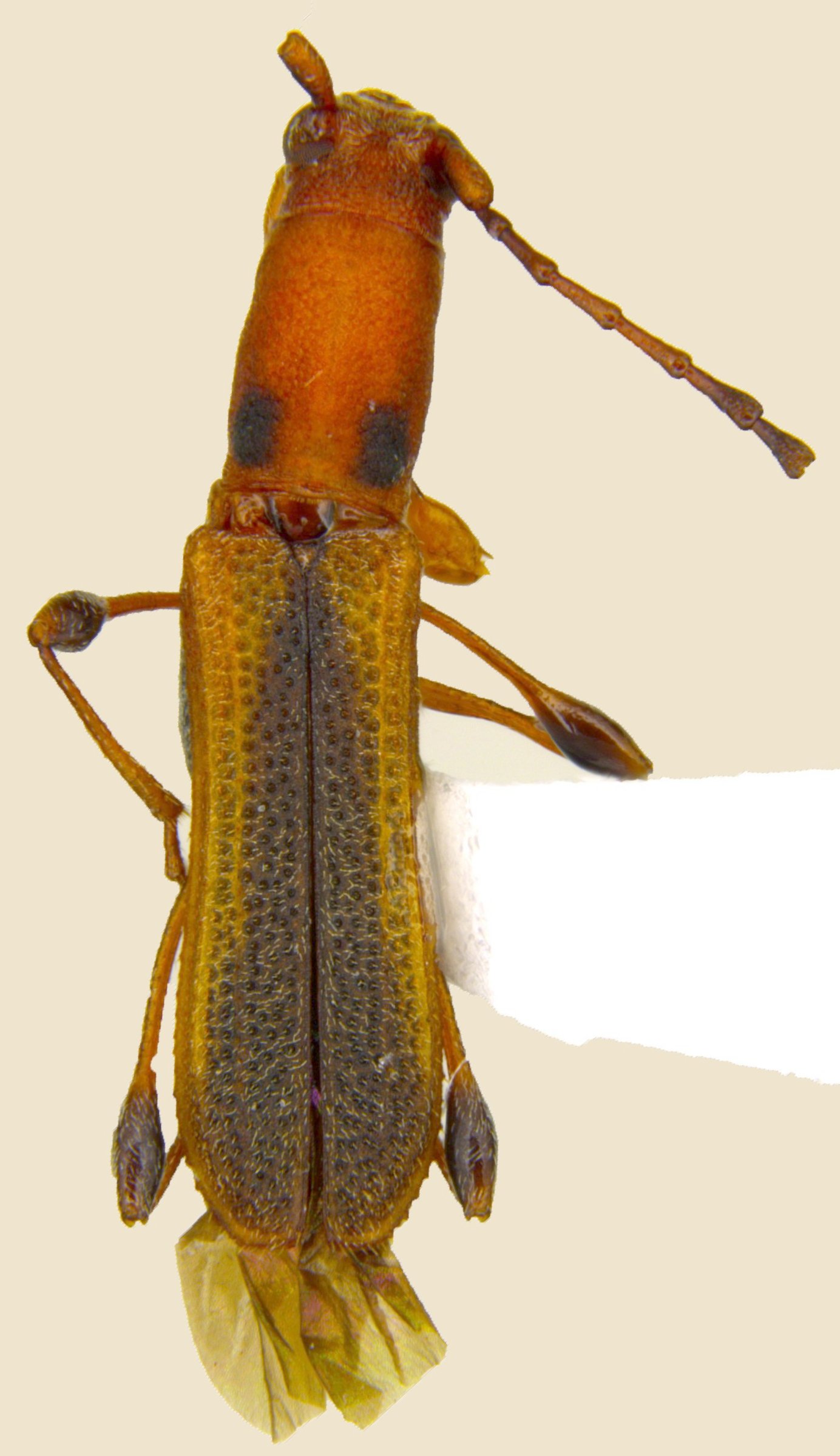
 El Corbalan Nature Reserve, Bolivia Ferreira.jpg)
Institution: MCNZ Museu de Ciencas Naturais, Fundacao Zoobotanica do Rio Grande do Sul, Brazil Photographer: Gabriel Ferreira Collection Location: El Corbalan Nature Reserve, Bolivia 90584
|
 El Corbalan Nature Reserve, Bolivia Ferreira.jpg)
Institution: MCNZ Museu de Ciencas Naturais, Fundacao Zoobotanica do Rio Grande do Sul, Brazil Photographer: Gabriel Ferreira Collection Location: El Corbalan Nature Reserve, Bolivia 90585
|
|