New Search Family, Subfamily and Tribe List

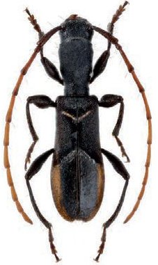
SubFamily Cerambycinae

Tribe Tillomorphini
Tillomorpha lineoligera Blanchard in Gay 1851

Institution: LGBC Larry G. Bezark Collection, Sacramento, California, USA
Photographer: Larry G. Bezark
Collection Location: Runge, Chile
14126


Photographer: Ole Mehl
Collection Location: Placilla, Chile
39472


Sex: m
Photographer: Miroshnikov
68135


Sex: f
Photographer: Miroshnikov
68136

130425