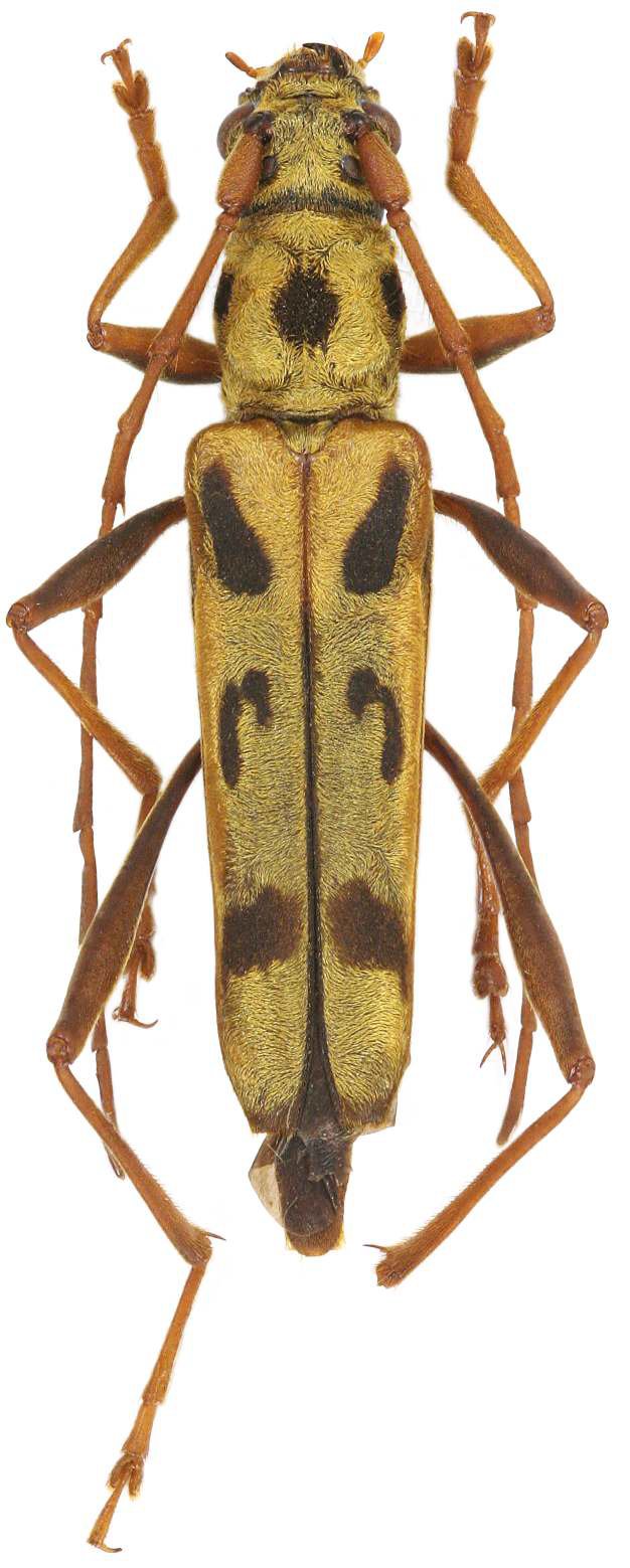
_Gressitt_Rond_BPBM_Nobuo_Ohbay.jpg)
Specimen Type: holotype Sex: f Institution: BPBM Bernice P. Bishop Museum, Honolulu, Hawaii, USA Photographer: Nobuo Ohbayashi Collection Location: Phou Khao Khoay, Vientiane, Laos 43151
|
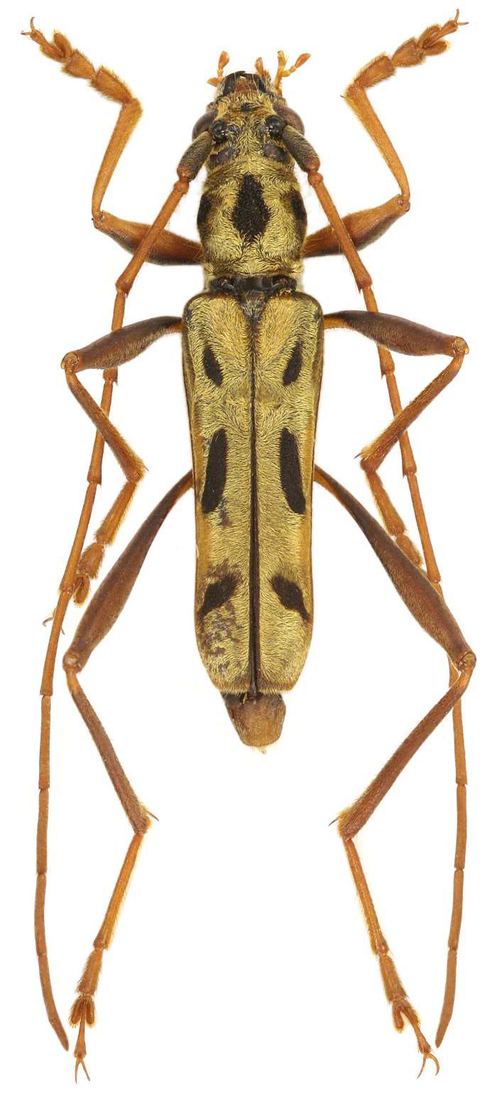
_Laos_Cope_photo.jpg)
Specimen Type: holotype Sex: f Institution: BPBM Bernice P. Bishop Museum, Honolulu, Hawaii, USA Photographer: Jim Cope Collection Location: Phou Khao Khoay, Vientiane, Laos 31154
|
_Gressitt_Rondon_Mt_Phu_Pan_NE_Laos_Vikt.jpg)
Sex: m Photographer: Petr Viktora Collection Location: Mt Phu Pan, Hua Phan Province, NE Laos 71219
|
_Gressitt_Rondon_Mt_Phu_Pan_NE_Laos_Vikt.jpg)
Sex: f Photographer: Petr Viktora Collection Location: Mt Phu Pan, Hua Phan Province, NE Laos 71220
|
_Gressitt_and_Rondon_Laos_Haller.jpg)
Photographer: Pierre Haller, Cerambycoidea Forum Collection Location: Laos 45590
|
|