New Search Family, Subfamily and Tribe List

SubFamily Lamiinae

Tribe Acanthocinini
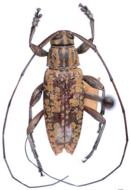
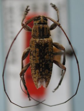
Nyssodrysternum tucurui Monné & Tavakilian 2011

Specimen Type: holotype
Sex: m
Institution: MNRJ Museu Nacional Universidade do Rio Janeiro, Brazil
Photographer: Larry G. Bezark
Collection Location: Tucurui, Para, Brazil
33660


Specimen Type: paratype
Sex: m
31777

130425