New Search Family, Subfamily and Tribe List

SubFamily Lamiinae

Tribe Acanthocinini
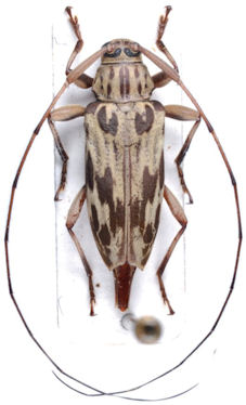
Nyssodrysternum nitidum Monné & Tavakilian 2011

Specimen Type: holotype
Sex: f
Institution: MNHN Museum of Natural History Paris, France
Collection Location: Piste Coralie, pk 10, French Guiana
31775

130425