New Search Family, Subfamily and Tribe List

SubFamily Lamiinae

Tribe Acanthocinini
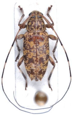
Nyssodrysternum flavoguttatum Monné & Tavakilian 2011

Specimen Type: paratype
Sex: m
Institution: MNHN Museum of Natural History Paris, France
Collection Location: French Guiana
31769

130425