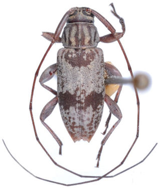
_Monne_and_Tav_MNRJ_Linhares_ES_Braz.jpg)
Specimen Type: holotype Sex: m Institution: MNRJ Museu Nacional Universidade do Rio Janeiro, Brazil Photographer: Larry G. Bezark Collection Location: Linhares, Esprito Santo, Brazil 33657
|
_Monne_and_Tav_MNRJ_Linhares_ES_Brazil.jpg)
Specimen Type: holotype Sex: m Institution: MNRJ Museu Nacional Universidade do Rio Janeiro, Brazil Collection Location: Linhares, Esprito Santo, Brazil 31766
|