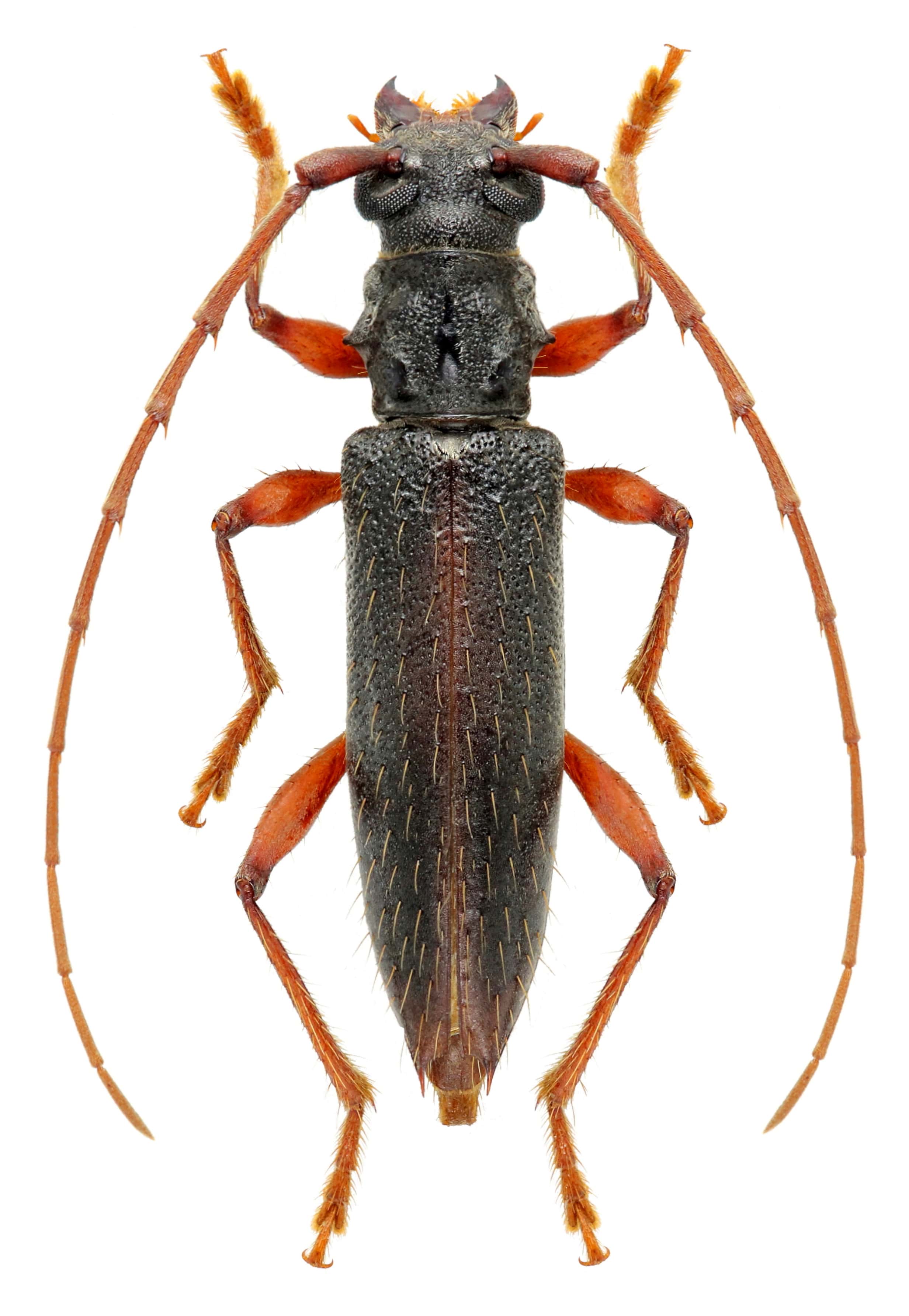
_G_and_M_INPA_Manaus_Estrada_ZF2_Amazonas_Brazil.jpg)
Specimen Type: holotype Sex: m Institution: INPA Instituto Nacional de Pesquisas da Amazonia, Manaus, Brazil Collection Location: Manaus, Estrada ZF2, Amazonas, Brazil 31202
|
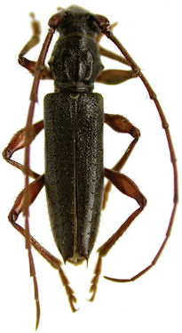
 Gal Mart Montagne des Chevaux, Roura, French Guiana Robin.jpg)
Photographer: Frédéric Robin Collection Location: Montagne des Chevaux, French Guiana 79314
|