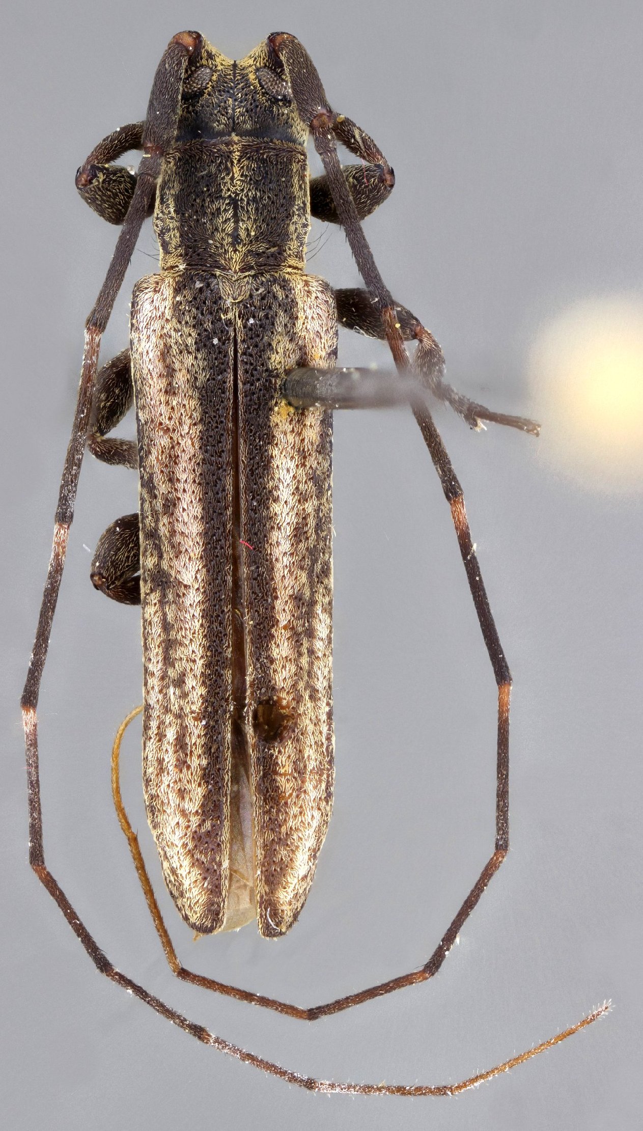
_Mart_et_al_MZSP_Faz_Cincora_Carolina_Maranhao_Braz_Nasc.jpg)
Specimen Type: holotype Sex: m Institution: MZSP Museu de Zoologia da Universidade de São Paulo, Brazil Photographer: Gino Nearns Collection Location: Caxias Morro do Alecrim, Maranhao, Brazil 30813
|
_Mart_et_al_MZSP_Faz_Cincora_Carolina_Maranhao_Braz_Nasc1.jpg)
Specimen Type: holotype Sex: m Institution: MZSP Museu de Zoologia da Universidade de São Paulo, Brazil Photographer: Gino Nearns Collection Location: Caxias Morro do Alecrim, Maranhao, Brazil 69887
|