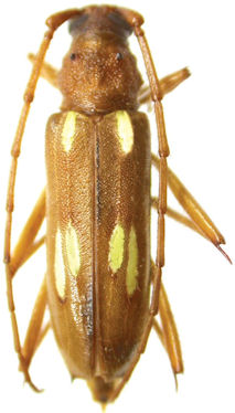
_Mart_MZSP_Carolina_Fazenda_Cincora_Maranhao_Brazil_SS.jpg)
Specimen Type: holotype Sex: f Institution: MZSP Museu de Zoologia da Universidade de São Paulo, Brazil Photographer: Antonio Santos-Silva Collection Location: Carolina Fazenda, Cincora, Maranhao, Brazil 63439
|
_Martins_et_al_Carolina_Fazenda_Cincora_MA_Brazil.jpg)
Specimen Type: holotype Sex: f Institution: MZSP Museu de Zoologia da Universidade de São Paulo, Brazil Collection Location: Carolina Fazenda, Cincora, Maranhao, Brazil 30835
|