
Specimen Type: probably this taxon Institution: NMNH United States National Museum, Washington, DC, USA Photographer: Steve Lingafelter Collection Location: Tam Dao, Vietnam 38861
|

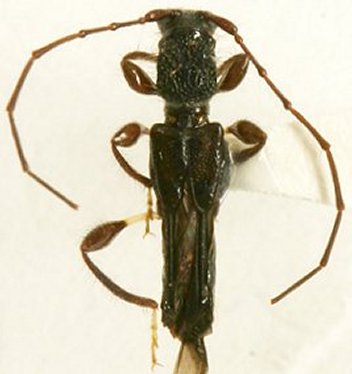
Specimen Type: probably this taxon Institution: NMNH United States National Museum, Washington, DC, USA Photographer: Steve Lingafelter Collection Location: Tam Dao, Vietnam 38871
|