New Search Family, Subfamily and Tribe List

SubFamily Cerambycinae

Tribe Stenhomalini
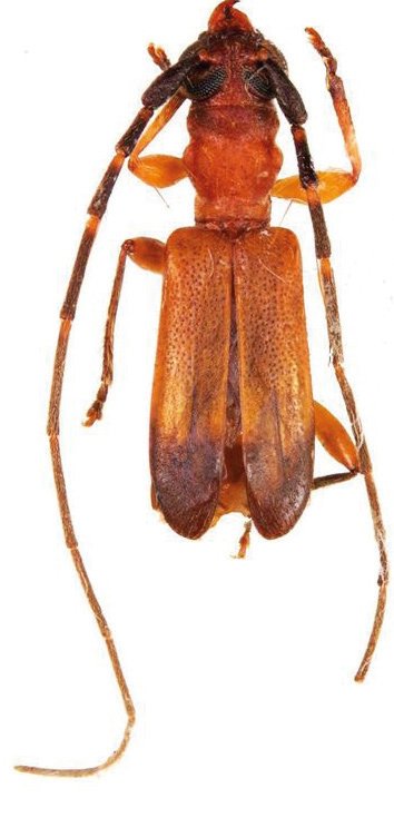
Stenhomalus satoi Niisato 1989

Sex: f
Institution: Vives Collection
Photographer: Eduard Vives
Collection Location: E Visayas, Samar Island, Philippines
73473

130425