_Holzschuh_S_India_Tamil_Nadu_Nilgiri_Hills.jpg)
Specimen Type: holotype Sex: m Institution: Holzschuh Collection Collection Location: Tamil Nadu, Nilgiri Hills, S India 34338
|
 Holzschuh 15 km SE Kotagiri, Tamil Nadu, India JCPC LGBC.jpg)
Specimen Type: paratype Institution: JCPC Jim Cope Collection, San Jose, California, USA now at CSCA, Sacramento Photographer: Larry G. Bezark Collection Location: 15 km SE Kotagiri, Tamil Nadu, India 98379
|
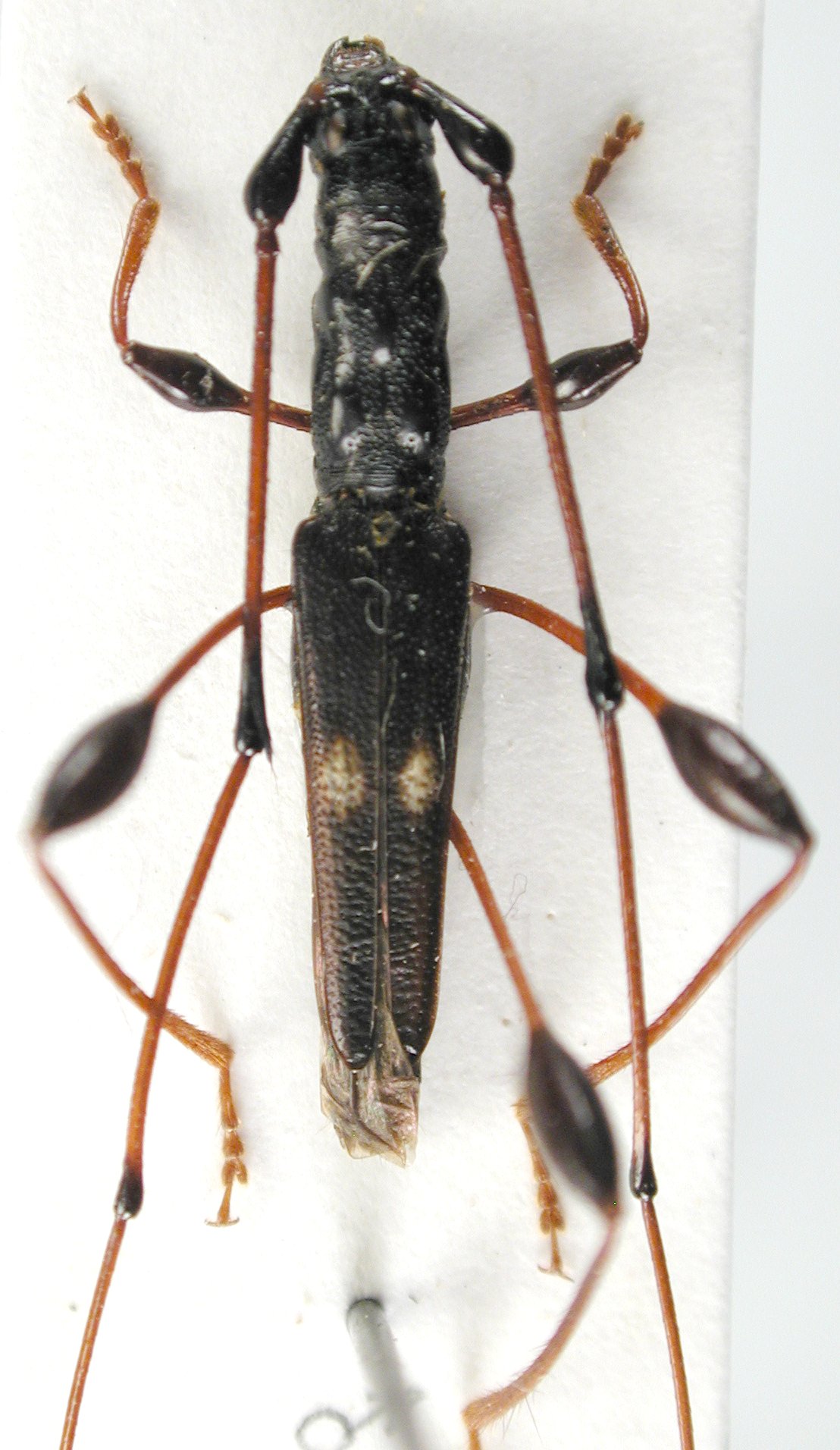
 Holzschuh 15 km SE Kotagiri, Tamil Nadu, India JCPC LGBC.jpg)
Specimen Type: paratype Institution: JCPC Jim Cope Collection, San Jose, California, USA now at CSCA, Sacramento Photographer: Larry G. Bezark Collection Location: 15 km SE Kotagiri, Tamil Nadu, India 98380
|
|