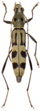
_Holzschuh_FBVA.jpg)
Specimen Type: holotype Sex: m Institution: Holzschuh Collection Determiner: Schrift. Forstlichen Bundesversuchsanstalt Collection Location: Chiang Rai, Wiang Pa Po, Thailand 59959
|
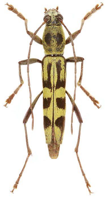
_Holzschuh_Chiang_Mai_Thailand_Viktora_pic.jpg)
Sex: m Institution: Viktora Collection Photographer: Petr Viktora Collection Location: Chiang Mai, Thailand 75077
|
_Holzschuh_Chiang_Mai_Thailand_Viktora_pic.jpg)
Sex: f Institution: Viktora Collection Photographer: Petr Viktora Collection Location: Chiang Mai, Thailand 75078
|

Photographer: Steve Lingafelter Collection Location: Phja-den, Cao Bang Province, Vietnam 59960
|

Photographer: Meiying Lin 43040
|
|