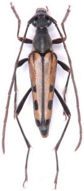
_Chou_Ohbayashi_NMST_Shihleng_Taoyuan_County_Taiwan.jpg)
Specimen Type: holotype Sex: m Institution: NMST National Science Museum (Nat. Hist.), Tokyo, Japan Determiner: Japanese J Systematic Ent Collection Location: Shihleng, Taoyuan County, Taiwan 56088
|
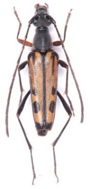
_Chou_Ohbayashi_Shihleng_Taoyuan_County_Taiwan.jpg)
Specimen Type: holotype Sex: m Institution: NMST National Science Museum (Nat. Hist.), Tokyo, Japan Determiner: Japanese J Systematic Ent Collection Location: Shihleng, Taoyuan County, Taiwan 56089
|
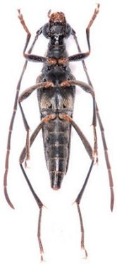
_Chou_Ohbayashi_Shihleng_Taoyuan_County_Taiwan.jpg)
Specimen Type: paratype Sex: f Institution: NMST National Science Museum (Nat. Hist.), Tokyo, Japan Determiner: Japanese J Systematic Ent Collection Location: Shihleng, Taoyuan County, Taiwan 56090
|
_Chou_Ohbayashi_Shihleng_Taoyuan_County_Taiwan.jpg)
Specimen Type: paratype Sex: f Institution: NMST National Science Museum (Nat. Hist.), Tokyo, Japan Determiner: Japanese J Systematic Ent Collection Location: Shihleng, Taoyuan County, Taiwan 56091
|
|