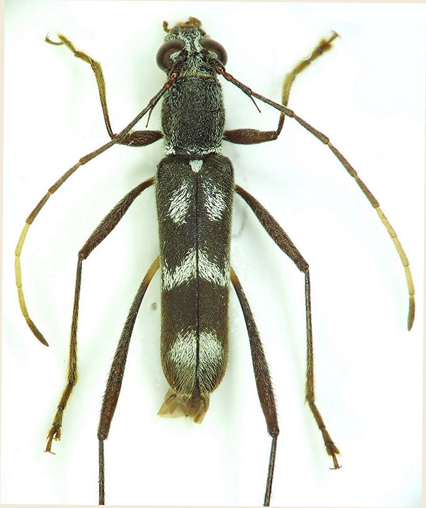
 Dauber vic Lawas, Crocker Range, Sabah, Borneo.jpg)
Specimen Type: paratype Photographer: Dieter Dauber Collection Location: vic Lawas, Crocker Range, Sabah, Borneo 95589
|
 Dauber Mt Bawang, W Kalimantan, Borneo Francesco Ruggiero.jpg)
Photographer: Francesco Ruggiero Collection Location: Mt Bawang, W Kalimantan, Borneo 95590
|

Photographer: Francesco Ruggiero Collection Location: Mt Bawang, W Kalimantan, Borneo 95591
|
|