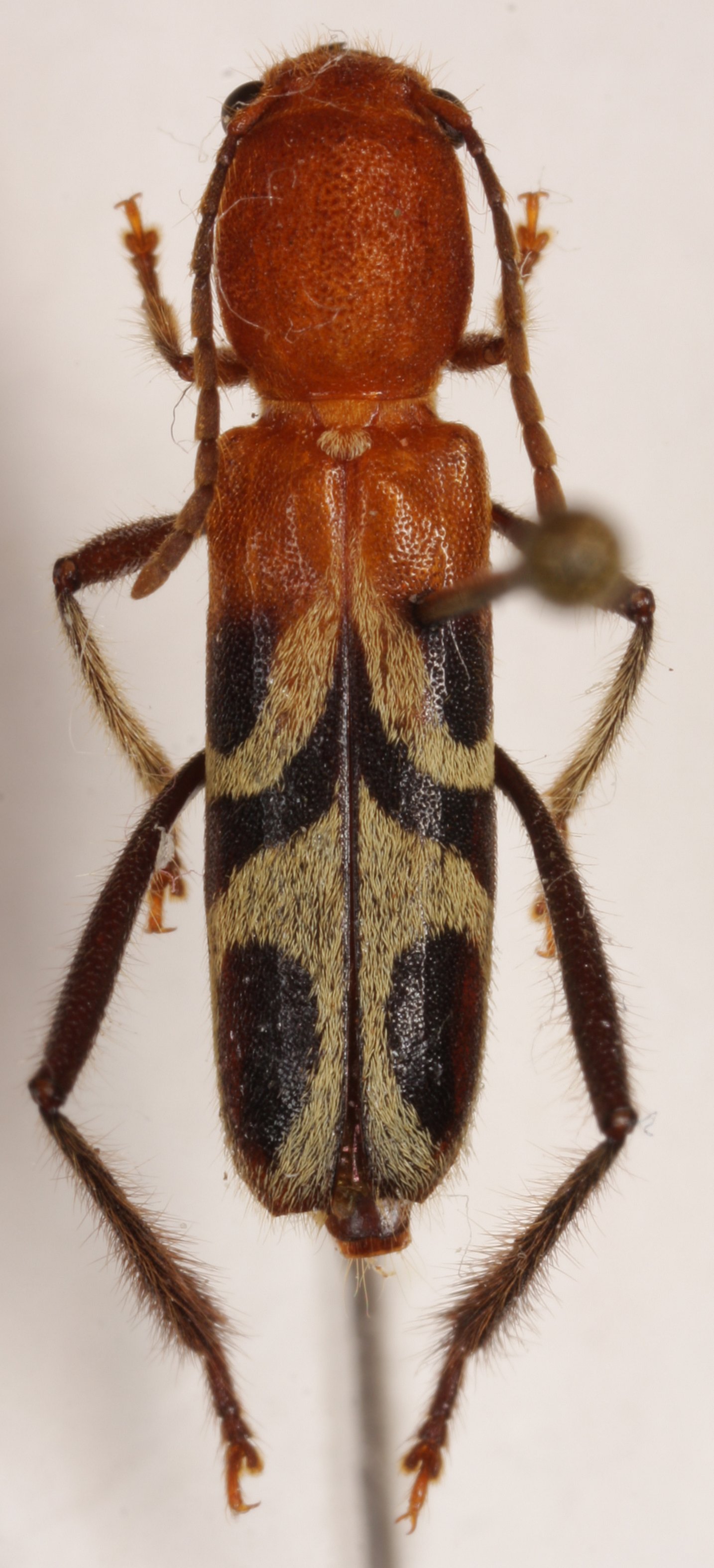
_Dauber_Heff_Coll_Crocker_Range_Sabah_Borneo.jpg)
Specimen Type: holotype Sex: m Institution: Heffern Collection Photographer: Dan Heffern Collection Location: Crocker Range, Sabah, Borneo 71886
|
 Dauber DJH Crocker Range, Sabah, Borneo.jpg)
Specimen Type: holotype Sex: m Institution: Heffern Collection Photographer: Dieter Dauber Collection Location: Crocker Range, Sabah, Borneo 95587
|