New Search Family, Subfamily and Tribe List

SubFamily Cerambycinae

Tribe Cerambycini
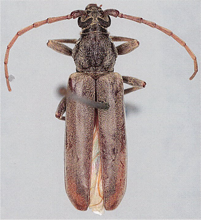
Derolus abyssinicus Breuning 1974

Specimen Type: holotype
Sex: f
Institution: ZMHB Museum für Naturkunde der Humboldt-Universität, Berlin, Germany
Photographer: Karl Adlbauer
Collection Location: Dire Dana, Ethiopia
69551

130425