New Search Family, Subfamily and Tribe List

SubFamily Cerambycinae

Tribe Cerambycini
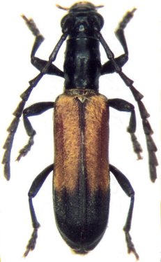
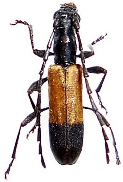
Microderolus latevittatus Aurivillius 1925

Sex: m
Photographer: Sergei Troccoli, Cerambycoidea Forum
Collection Location: Nkonko, Mayoni, Tanzania
53552


Sex: f
Collection Location: Ethiopia
53563

130425