New Search Family, Subfamily and Tribe List

SubFamily Cerambycinae

Tribe Cerambycini
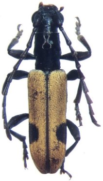
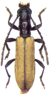
Microderolus hefferni Adlbauer 2000

Sex: m
Determiner: Coleoptera Schwanfelder Coleopt Mitteilungen
Collection Location: Ethiopia
53564


Sex: f
Determiner: Coleoptera Schwanfelder Coleopt Mitteilungen
Collection Location: Ethiopia
53565

130425