_SS_Heff_Matsuda_BPBM_Philippines_Mindanao_Is_Mt_Balatukan.jpg)
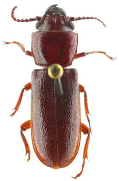
Specimen Type: holotype Sex: m Institution: BPBM Bernice P. Bishop Museum, Honolulu, Hawaii, USA Photographer: Antonio Santos-Silva Collection Location: Mt Balatukan, Mindanao, Philippines 51450
|
_SS_Heff_Matsuda_BPBM_Philippines_Mindanao_Is_Mt_Balatukan.jpg)
Specimen Type: holotype Sex: m Institution: BPBM Bernice P. Bishop Museum, Honolulu, Hawaii, USA Photographer: Antonio Santos-Silva Collection Location: Mt Balatukan, Mindanao, Philippines 51451
|