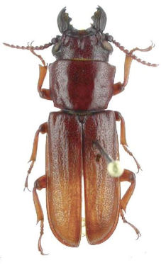
_SS_Heff_Matsuda_MZSP_Indonesia_PNG_WPapua_Fak-Fak.jpg)
Specimen Type: holotype Sex: m Institution: MZSP Museu de Zoologia da Universidade de São Paulo, Brazil Photographer: Antonio Santos-Silva Collection Location: Fak Fak, West Paupa New Guinea 51423
|
_SS_Heff_Matsuda_MZSP_Indonesia_PNG_WPapua_Fak-Fak.jpg)
Specimen Type: holotype Sex: m Institution: MZSP Museu de Zoologia da Universidade de São Paulo, Brazil Photographer: Antonio Santos-Silva Collection Location: Fak Fak, West Paupa New Guinea 51424
|