_Carter_MV_MV_Stanthorpe_Qld_Aust_now_Phoracantha_savesi_Slip_Esc.jpg)
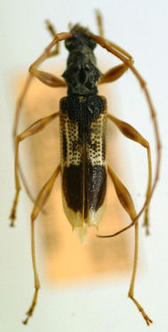
Tryphocaria triangularis Carter Specimen Type: holotype Sex: f Institution: NMM National Museum of Victoria, Melbourne, Australia Photographer: Slipinski & Escalona Collection Location: Stanthorpe, Queensland, Australia 62039
|

Photographer: Dan Heffern Collection Location: New Caledonia 56659
|