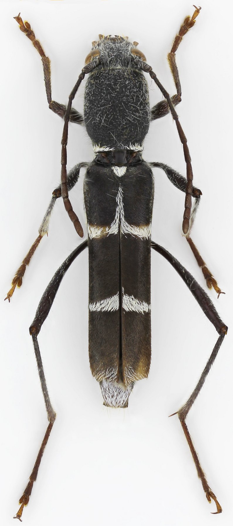
_Holzschuh_CHS_Mt_Phou_Pan_Hua_Phan_prov_Laos.jpg)
Specimen Type: holotype Sex: m Institution: Holzschuh Collection Determiner: Entomologica Basiliensa et Collectionis Frey Collection Location: Mt. Phou Pan, Hua Phan Province, NE Laos 51298
|
_Holzschuh_CHS_Mt_Phou_Pan_Hua_Phan_prov_Laos.jpg)
Specimen Type: paratype Sex: f Institution: Holzschuh Collection Determiner: Entomologica Basiliensa et Collectionis Frey Collection Location: Mt. Phou Pan, Hua Phan Province, NE Laos 51299
|