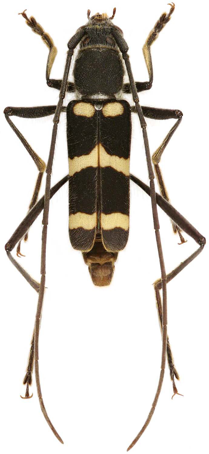
_Holzschuh_CHS_Mt_Phou_Pan_Hua_Phan_prov_Laos.jpg)
Specimen Type: holotype Sex: m Institution: Holzschuh Photographer: Carolus Holzschuh Determiner: Schrift. Forstlichen Bundesversuchsanstalt Collection Location: Mt Phou Pan, Hua Phan Province, Laos 31157
|
_(Holzschuh)_Mt_Phu_Pan_NE_Laos_Vikt.jpg)
Sex: m Photographer: Petr Viktora Collection Location: Mt Phu Pan, Hua Phan Province, NE Laos 71235
|