New Search Family, Subfamily and Tribe List

SubFamily Cerambycinae

Tribe Cleomenini
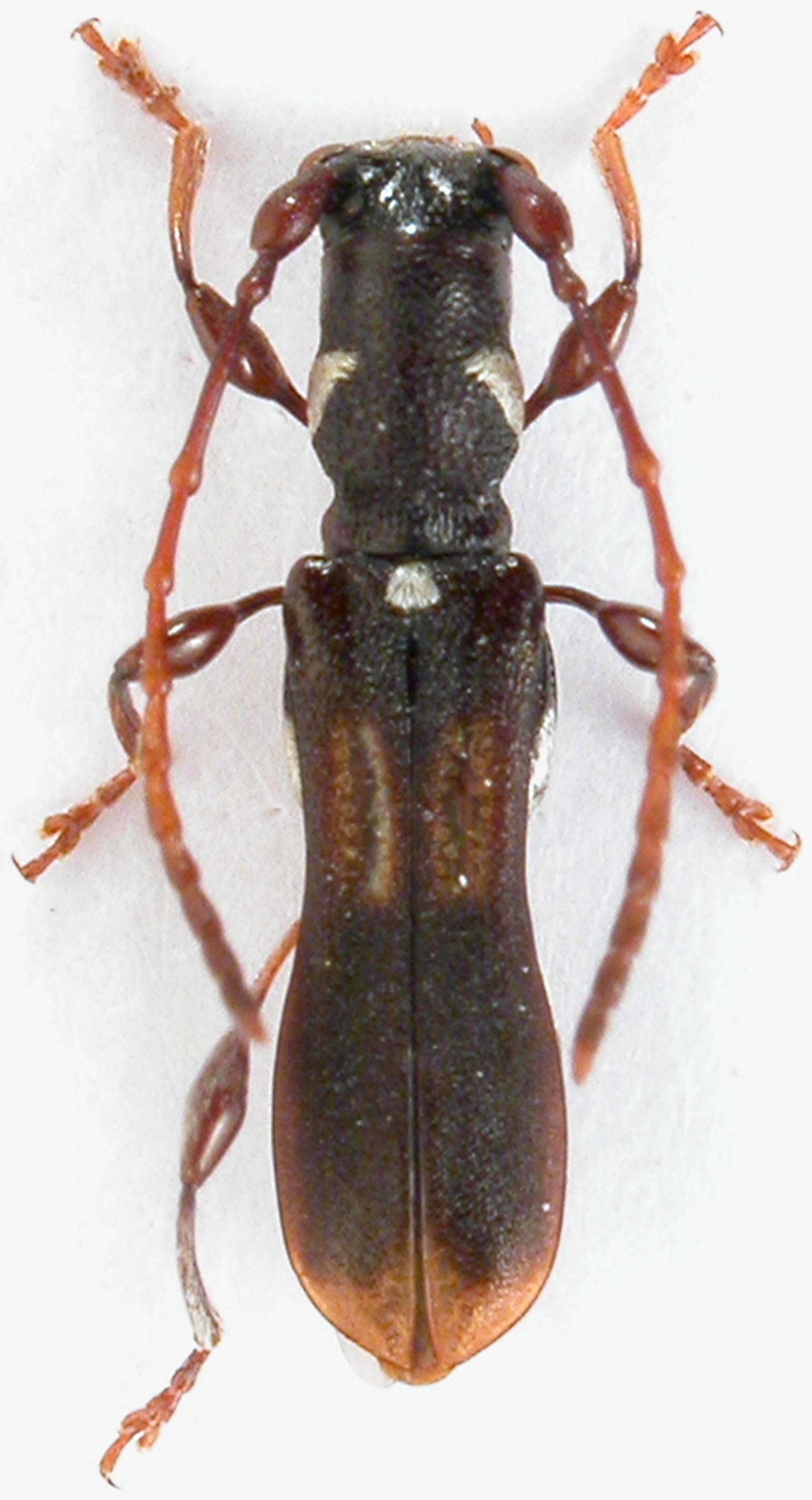
Nidella fenestrella Holzschuh 2009

Specimen Type: paratype
Sex: f
Collection Location: Quop, W Sarawak
44789


Specimen Type: paratype
Sex: f
Determiner: Schrift. Forstlichen Bundesversuchsanstalt
Collection Location: Quop, W Sarawak
44788

130425