_DJH.jpg)
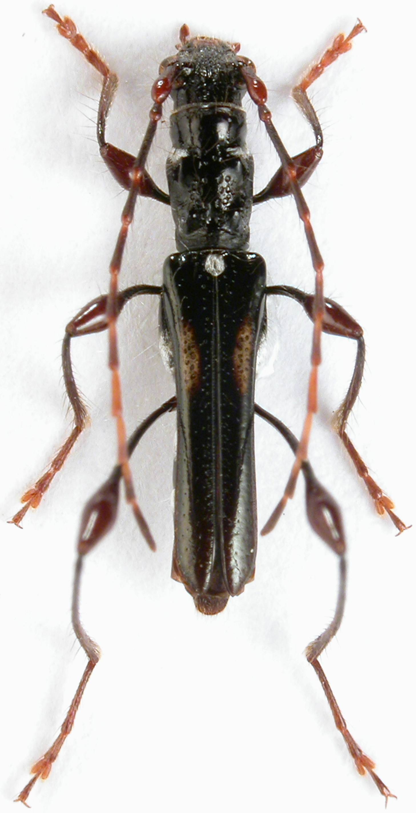
Specimen Type: holotype Sex: m Institution: Holzschuh Collection Photographer: Lubo Dembický Collection Location: Malaysia, Sabah, Mt Trus Madi 35802
|
_Holzschuh_CHS_Mt_Trus_Madi_Sabah_Malaysia.jpg)
Specimen Type: holotype Sex: m Institution: Holzschuh Collection Determiner: Schrift. Forstlichen Bundesversuchsanstalt Collection Location: Mt Trus Madi, Sabah, Boprneo 32450
|