 Holz BMNH 7 km N Rangon, Thailand now Pasc rang Mirosh.jpg)
Zatrephus inscitus rangonensis Holzschuh Specimen Type: holotype Sex: m Institution: BMNH British Museum Natural History, London, UK Photographer: Lubo Dembický Collection Location: 7 km N Rangon, Thailand 79492
|
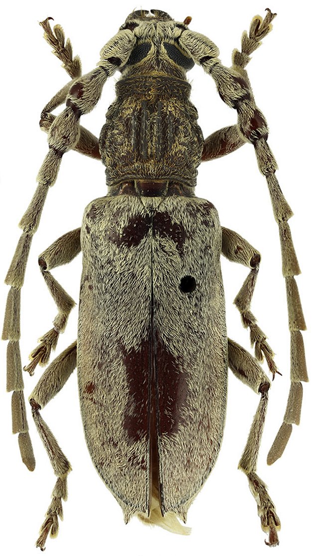
_Holzschuh_7KM_N_Ranong_Thailand.jpg)
Zatrephus inscitus ranongensis Holzschuh Specimen Type: paratype Sex: f Institution: Holzschuh Collection Determiner: Entomologica Basiliensa et Collectionis Frey Collection Location: 7 km N Ranong, Thailand 66998
|