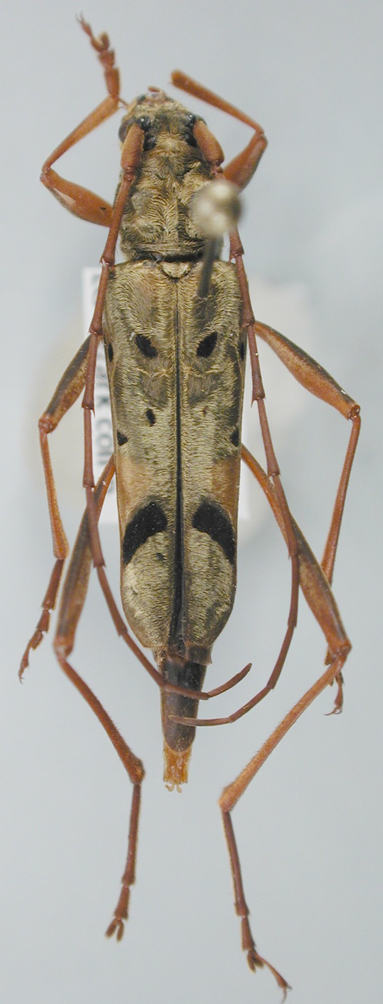
_Holzschuh_CHS_Mt_Phou_Pan_Hua_Phan_prov_Laos.jpg)
Specimen Type: holotype Sex: m Institution: Holzschuh Photographer: Carolus Holzschuh Determiner: Schrift. Forstlichen Bundesversuchsanstalt Collection Location: Mt Phou Pan, Hua Phan Province, Laos 31160
|

Photographer: Xavier Gouverneur, Cerambycoidea Forum Collection Location: Xam Neua, Hua Phan, NE Laos 45594
|
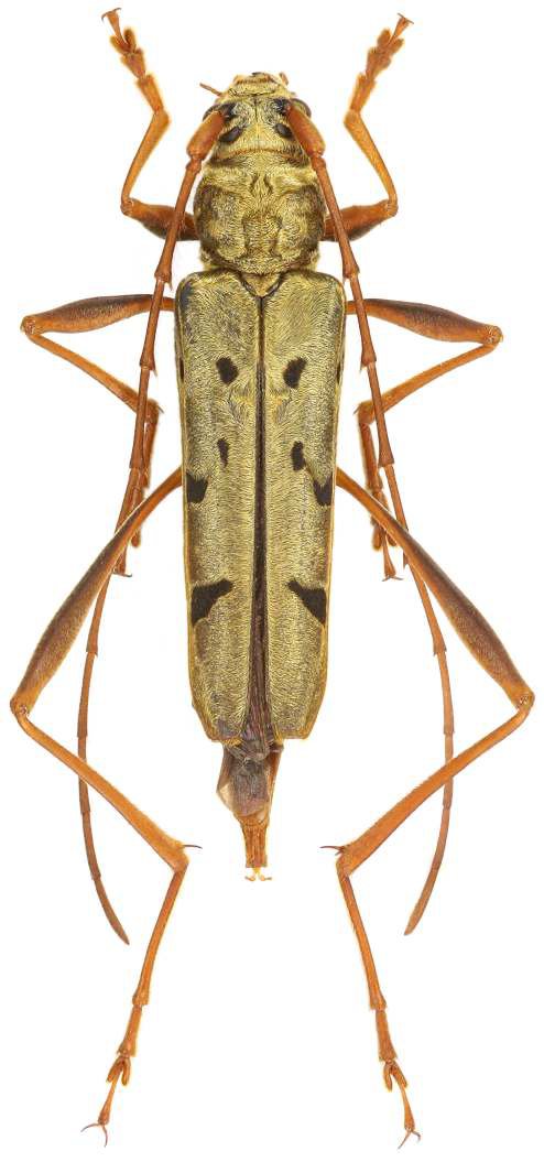
_Holzschuh_Mt_Phu_Pan_NE_Laos_Vikt.jpg)
Sex: m Institution: Viktora Collection Photographer: Petr Viktora Collection Location: Mt Jianfengling, Li Dong Autonomous County, Hainan, China 71232
|
_Holzschuh_Mt_Phu_Pan_NE_Laos_Vikt.jpg)
Sex: f Institution: Viktora Collection Photographer: Petr Viktora Collection Location: Mt Phu Pan, Hua Phan Province, NE Laos 71233
|

Institution: LGBC Larry G. Bezark Collection, Sacramento, California, USA Photographer: Larry G. Bezark Collection Location: Yen Bai, Vietnam 81874
|

Institution: Tyson Collection Photographer: Bill Tyson Determiner: Jacek Kurzawa, Cerambycoides Forum Collection Location: Sapa, Lao Cai Province, Vietnam 71231
|
|