New Search Family, Subfamily and Tribe List

SubFamily Cerambycinae

Tribe Tillomorphini
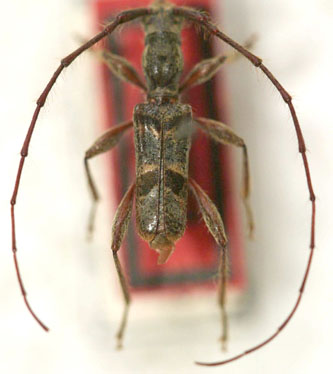
Epropetes zonula Martins & Napp 1984

Specimen Type: holotype
Sex: m
Institution: MZSP Museu de Zoologia da Universidade de São Paulo, Brazil
Photographer: Steve Lingafelter
Collection Location: Campos da Serra (cabeceiras do Rio M'boi Guassu), Sao Paolo, Brazil
7376

130425