New Search Family, Subfamily and Tribe List

SubFamily Lamiinae

Tribe Enicodini
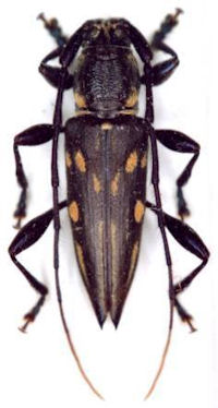
Nemaschema kudrnai Sudre & Mille 2010

Specimen Type: holotype
Institution: Kudrna Collection
Determiner: Mémoires de la Société Linnéenne de Lyon
Collection Location: 10 km S Yate, New Caledonia
54153

130425