New Search Family, Subfamily and Tribe List

SubFamily Cerambycinae

Tribe Tropidini Tropidina
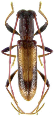
Minibidion perfectum Martins & Galileo 2011

Specimen Type: holotype
Sex: m
Institution: MNKM Museo de Hist Nat Noel Kempff Mercado Santa Cruz de la Sierra, Bolivia
Collection Location: Bermejo, Provincia Florida, Santa Cruz, Bolivia
30789

130425