_Martins_and_Napp_Parque_Nac_do_Itatiaia_Rio_de_Janeiro_Brazil_MNRJ_Rev_Bras_Ent.jpg)
Specimen Type: holotype Sex: f Institution: MNRJ Museu Nacional Universidade do Rio Janeiro, Brazil Collection Location: Parque Nac do Itatiaia, Rio de Janeiro, Brazil 22730
|
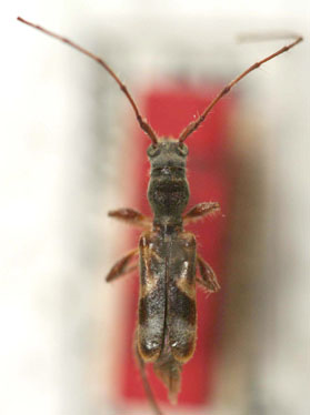
_Martins_and_Napp_MNRJ_SWL.jpg)
Specimen Type: holotype Sex: f Institution: MNRJ Museu Nacional Universidade do Rio Janeiro, Brazil Photographer: Steve Lingafelter Collection Location: Parque Nac do Itatiaia, Rio de Janeiro, Brazil 7373
|