_Clarke_MNKM_30kmN_Villa_Montes_TR_Bolivia.jpg)
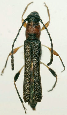
Specimen Type: holotype Sex: m Institution: MNKM Museo de Hist Nat Noel Kempff Mercado Santa Cruz de la Sierra, Bolivia Photographer: Robin Clarke Collection Location: 30 km N Villa Montes, Tarija, Bolivia 30766
|
_Clarke_RCSZ_30kmN_Villa_Montes_TR_Bolivia.jpg)
Specimen Type: paratype Sex: f Institution: RCSZ Robin Clarke Collection, Bolivia Photographer: Robin Clarke Collection Location: 30 km N Villa Montes, Tarija, Bolivia 30767
|