_Dauber_coll_W_Malaysia_Perak_25kmS_Ipoh.jpg)
Specimen Type: holotype Sex: f Institution: Dauber Collection Determiner: Linzer biol. Beitrage Collection Location: 25 km S Ipoh, Perak, West Malaysia 36459
|
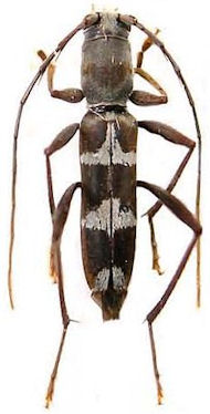
 Dauber 25 km NW Ipoh, W Perak, Malaysia JCPC LGBC.jpg)
Specimen Type: paratype Institution: JCPC Jim Cope Collection, San Jose, California, USA now at CSCA, Sacramento Photographer: Larry G. Bezark Determiner: Jim Cope Collection Location: 25 km NW Ipoh, W Perak, Malaysia 98483
|