_White_Tapajos_Para_Brazil_nowEpropetes_LGB.jpg)
Ozodes latifascia White Specimen Type: holotype Institution: BMNH British Museum Natural History, London, UK Photographer: Larry G. Bezark Collection Location: Tapajos, Para, Brazil 47170
|
_White_BMNH_Martins_and_Napp_Rev_Bras_Ent_=_Epropetes.jpg)
Ozodes latifasciata White Specimen Type: holotype Institution: BMNH British Museum Natural History, London, UK Collection Location: Tapajos, Para, Brazil 23572
|

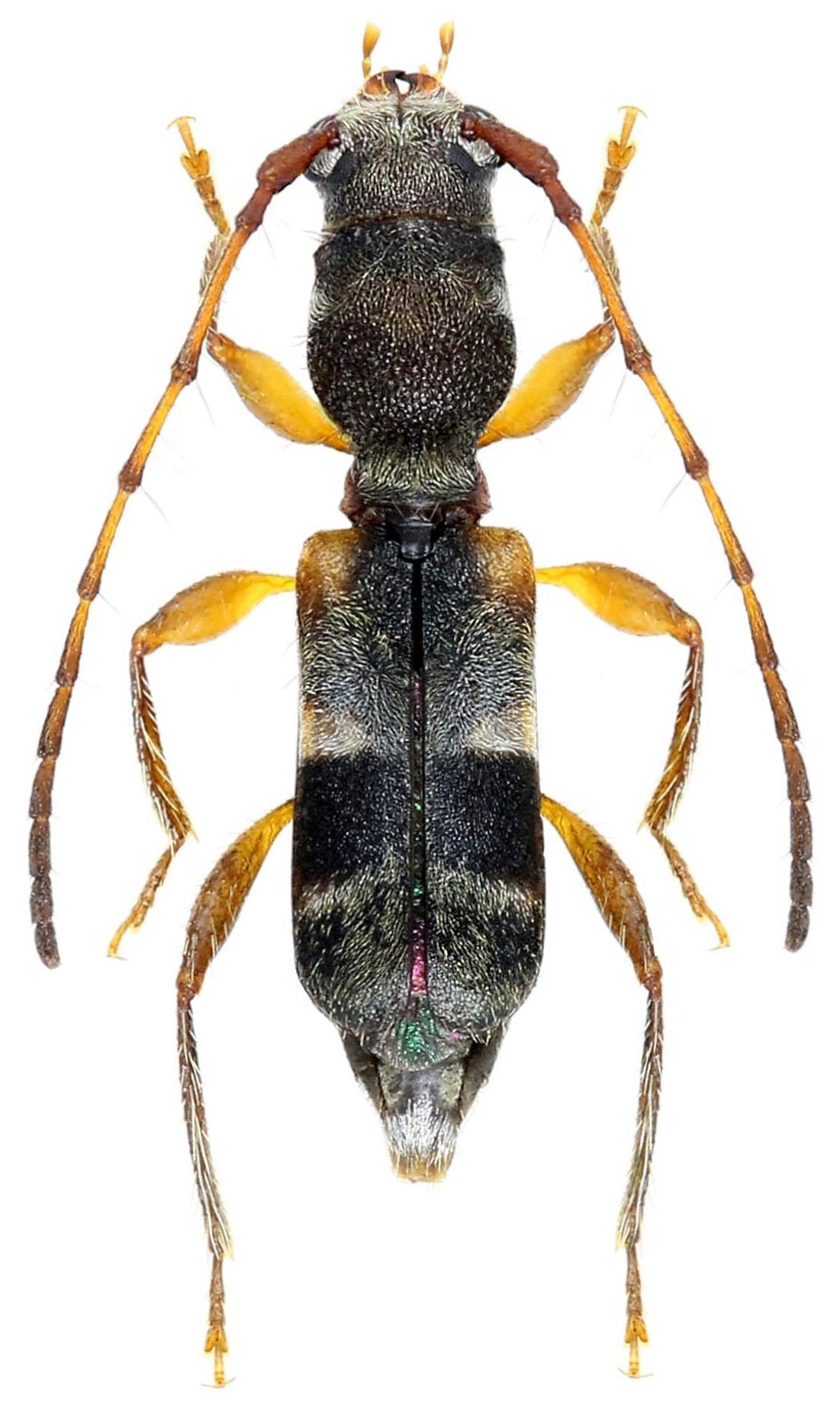
Institution: LGBC Larry G. Bezark Collection, Sacramento, California, USA Photographer: Larry G. Bezark Collection Location: Belizon, French Guiana 78380
|

Institution: LGBC Larry G. Bezark Collection, Sacramento, California, USA Photographer: Larry G. Bezark Collection Location: Belizon, French Guiana 78381
|
 (White) Montagne des Chevaux, Roura, French Guiana Robin.jpg)
Sex: f Photographer: Frédéric Robin Collection Location: Montagne des Chevaux, Roura, French Guiana 78197
|
_Matiti_Fr_Guiana_Giuglaris.jpg)
Photographer: Jean-Louis Giuglaris Collection Location: Matiti, French Guiana 28735
|
|