_Martins_MZSP_SWL.jpg)
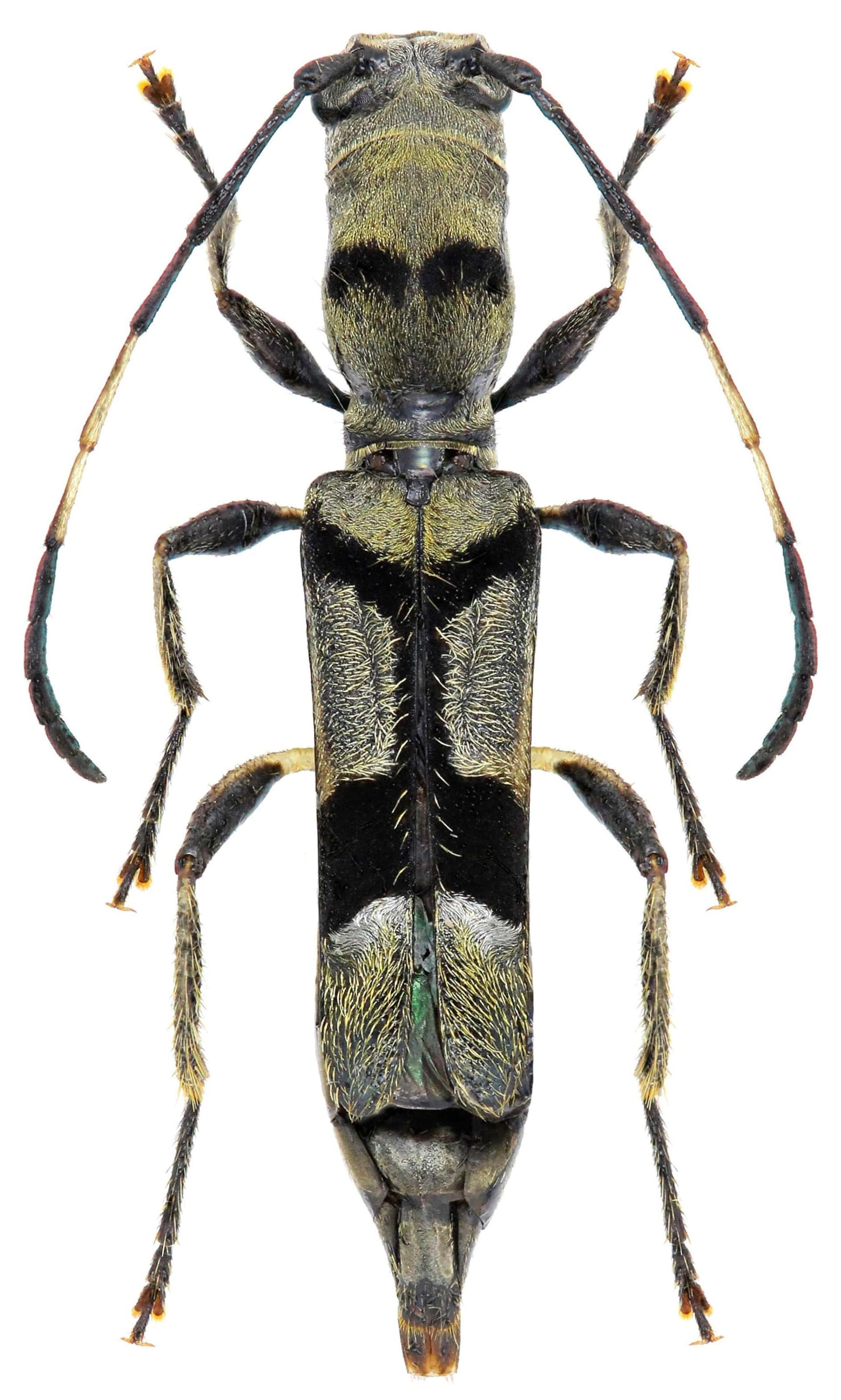
Specimen Type: holotype Sex: m Institution: MZSP Museu de Zoologia da Universidade de São Paulo, Brazil Photographer: Steve Lingafelter Collection Location: Santarem Para, Brazil 7368
|
_Martins_Santarem_Para_Brazil_IPCS_Pap_Avuls_Zoo.jpg)
Specimen Type: holotype Sex: m Institution: MZSP Museu de Zoologia da Universidade de São Paulo, Brazil Collection Location: Santarem Para, Brazil 21876
|
 Martins Montagne des Chevaux, Roura, French Guiana Robin.jpg)
Sex: f Photographer: Frédéric Robin Collection Location: Montagne des Chevaux, Roura, French Guiana 78196
|

Photographer: Jean-Louis Giuglaris Collection Location: Kaw, French Guiana 28734
|

Photographer: Julien Touroult Collection Location: French Guiana 29554
|
|