New Search Family, Subfamily and Tribe List

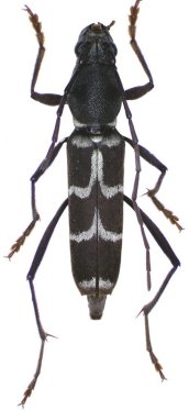
SubFamily Cerambycinae

Tribe Clytini
Demonax elongatus Gressitt & Rondon 1970

Specimen Type: holotype
Sex: m
Institution: BPBM Bernice P. Bishop Museum, Honolulu, Hawaii, USA
Photographer: Nobuo Ohbayashi
Collection Location: Phou Khao Khoay, Vientiane Province, Laos
43337


Photographer: Meiying Lin
41925

130425