_Gressitt_Rond_BPBM_Nobuo_Ohbay.jpg)
Specimen Type: holotype Sex: f Institution: BPBM Bernice P. Bishop Museum, Honolulu, Hawaii, USA Photographer: Nobuo Ohbayashi Collection Location: Thadena, Vientiane Province, Laos 45368
|
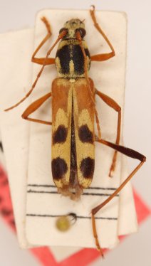
_Gressitt_Rondon_Laos_Cope.jpg)
Specimen Type: holotype Sex: f Institution: BPBM Bernice P. Bishop Museum, Honolulu, Hawaii, USA Photographer: Jim Cope Collection Location: Thadena, Vientiane Province, Laos 60142
|