_Gressitt_Rond_BPBM_Nobuo_Ohbay.jpg)
Molorchus minimalis Gressitt & Rondon Specimen Type: holotype Sex: m Institution: BPBM Bernice P. Bishop Museum, Honolulu, Hawaii, USA Photographer: Nobuo Ohbayashi Collection Location: Nong Thevada, Vientiane, Laos 44737
|
_CAS.jpg)
Molorchus minimalis Gressitt & Rondon Specimen Type: paratype Institution: CAS California Academy of Sciences, San Francisco, CA, USA Photographer: Larry G. Bezark 41586
|
_NMST_Chai_Phra_Buddha_Phuttha_Saraburi_Thailand.jpg)
Buddhapania matsumotoi Niisato Specimen Type: holotype Sex: m Institution: NMST National Science Museum (Nat. Hist.), Tokyo, Japan Collection Location: Chai Phra, Buddha Phuttha, Saraburi, Thailand 58484
|
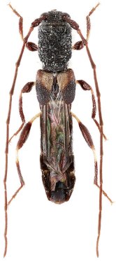
_NMST_Chai_Phra_Buddha_Phuttha_Saraburi_Thailand.jpg)
Buddhapania matsumotoi Niisato Specimen Type: paratype Sex: f Institution: NMST National Science Museum (Nat. Hist.), Tokyo, Japan Collection Location: Chai Phra, Buddha Phuttha, Saraburi, Thailand 58485
|
|